Παράκαμψη προς το κυρίως περιεχόμενο
Αρχική
Μενού
  • Βιβλιοθηκες
  • Aρθρα - Αποψεις
  • Ειδησεις
  • Κοινωνικη Ευθυνη
  • Επιστήμη - Τεχνολογία - Καινοτομία
  • Προτασεις
  • Επικοινωνια

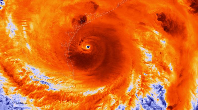
Record Heat In The Gulf Fueled Hurricane Harvey's Deluge

28 05 2018 | 14:40

Record Heat In The Gulf Fueled Hurricane Harvey's Deluge

Tags

  • Κλιματική Αλλαγή

Σχετικά Άρθρα

09 04 2026 | 22:48

‘Non-survivable’: heatwaves are already breaching human limits, with worse to come, study finds

10 04 2026 | 16:43

Why harnessing wind energy in Ghana is the route to take

08 04 2026 | 09:48

Using AI to speed up Australia’s environmental approvals risks ‘robodebt-style’ failures, scientists say

Δημοφιλή Άρθρα

‘God squad’ waives endangered species law to allow US drilling in Gulf of Mexico

After Chemical Industry Lobbying, EPA Considers Dropping Clean Air Protections for…

World held hostage by reliance on fossil fuels, Christiana Figueres warns – and climate…

The Global Energy Supply in a Decade ‘Is Not a World We’re Going to Recognize’


Αρχική
  • Βιβλιοθηκες
  • Aρθρα - Αποψεις
  • Ειδησεις
  • Κοινωνικη Ευθυνη
  • Επιστήμη - Τεχνολογία - Καινοτομία
  • Προτασεις
  • Επικοινωνια
© Copyright 2019. All Rights Reserved.
Εψιλον Πληροφορική Maintenance & Support